You've been logged out. Click
here
to log back in.
Log In
Log In
BOLD Systems
Databases
Taxonomy
Identification
Workbench
Resources
Oxymirini {tribe} -
Arthropoda
;
Insecta
;
Coleoptera
;
Cerambycidae
;
Lepturinae
;
Print
Search Taxonomy
Sub-taxa
Genera (1)
Oxymirus [32]
Taxon Description (Wikipedia)
full article at Wikipedia
BOLD Stats
Specimen Records:
32
Public Records:
18
Specimens with Sequences:
25
Public Species:
1
Specimens with Barcodes:
19
Public BINs:
0
Species:
2
Species With Barcodes:
2
Species List - Progress
Access Published & Released Data
Contributors (Specimens & Sequencing)
Specimen Depositories:
Sequencing Labs:
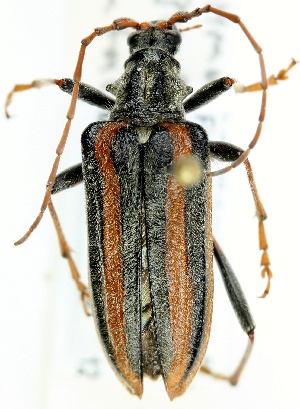
Imagery
images representing subtaxa of Oxymirini
(
Oxymirus
)
Sample ID:
ZMUO.001871
License:
CreativeCommons - Attribution Non-Commercial (2012)
License Holder:
Marko Mutanen, University of Oulu
Collection Sites
Collected from 5 countries.
Top 20:
Show All Countries
France
5
Germany
4
Georgia
1
Norway
4
Finland
2