You've been logged out. Click
here
to log back in.
Log In
Log In
BOLD Systems
Databases
Taxonomy
Identification
Workbench
Resources
Camptopus {genus} -
Arthropoda
;
Insecta
;
Hemiptera
;
Alydidae
;
Alydinae
;
Print
Search Taxonomy
Sub-taxa
Species (1)
Camptopus lateralis [28]
Taxon Description (Wikipedia)
full article at Wikipedia
BOLD Stats
Specimen Records:
28
Public Records:
8
Specimens with Sequences:
21
Public Species:
1
Specimens with Barcodes:
20
Public BINs:
1
Species:
1
Species With Barcodes:
1
Species List - Progress
Access Published & Released Data
Contributors (Specimens & Sequencing)
Specimen Depositories:
Sequencing Labs:
Imagery
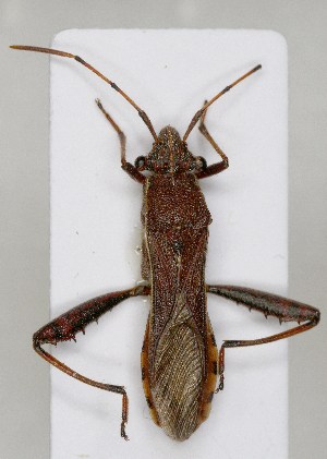
images representing subtaxa of Camptopus
(
Camptopus lateralis
)
Sample ID:
ABOL-25-1008
License:
Unspecified (default): All Rights Reserved (2025)
License Holder:
Wolfgang Rabitsch, Unspecified
Collection Sites
Collected from 4 countries.
Top 20:
Show All Countries
France
5
Portugal
1
Austria
4
Croatia
1