You've been logged out. Click
here
to log back in.
Log In
Log In
BOLD Systems
Databases
Taxonomy
Identification
Workbench
Resources
Stenelaphus {genus} -
Arthropoda
;
Insecta
;
Coleoptera
;
Cerambycidae
;
Cerambycinae
;
Elaphidiini
;
Print
Search Taxonomy
Sub-taxa
Species (1)
Stenelaphus alienus [5]
Taxon Description (Wikipedia)
full article at Wikipedia
BOLD Stats
Specimen Records:
5
Public Records:
3
Specimens with Sequences:
4
Public Species:
1
Specimens with Barcodes:
3
Public BINs:
1
Species:
1
Species With Barcodes:
1
Species List - Progress
Access Published & Released Data
Contributors (Specimens & Sequencing)
Specimen Depositories:
Sequencing Labs:
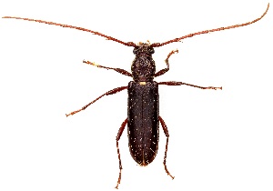
Imagery
images representing subtaxa of Stenelaphus
(
Stenelaphus alienus
)
Sample ID:
UAIC1125755
License:
by (2021)
License Holder:
Wendy Moore, University of Arizona Insect Collection
Collection Sites
Collected from 1 countries.
Top 20:
Show All Countries
United States
5