You've been logged out. Click
here
to log back in.
Log In
Log In
BOLD Systems
Databases
Taxonomy
Identification
Workbench
Resources
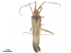
Gracilimiris wheeleri {species} -
Arthropoda
;
Insecta
;
Hemiptera
;
Miridae
;
Mirinae
;
Mirini
;
Gracilimiris
;
Print
Search Taxonomy
Sub-taxa
Taxon Description (Wikipedia)
full article at Wikipedia
BOLD Stats
Specimen Records:
2
Public Records:
2
Specimens with Sequences:
1
Public Species:
1
Specimens with Barcodes:
1
Public BINs:
1
Species:
1
Species With Barcodes:
1
Subspecies List - Progress
Access Published & Released Data
Contributors (Specimens & Sequencing)
Specimen Depositories:
Sequencing Labs:
Imagery
images representing specimens of Gracilimiris wheeleri
Sample ID:
UAIC1135556
License:
by (2021)
License Holder:
Wendy Moore, University of Arizona Insect Collection
Collection Sites
Collected from 1 countries.
Top 20:
Show All Countries
United States
2