Hoplosaenidea sp. 5 {species} - Arthropoda; Insecta; Coleoptera; Chrysomelidae; Galerucinae; Luperini; Hoplosaenidea;

BOLD Stats

Specimen Records: 2 Public Records: 2
Specimens with Sequences: 2 Public Species: 1
Specimens with Barcodes: 2 Public BINs: 1
Species: 1          
Species With Barcodes: 1          
           

Contributors (Specimens & Sequencing)

Specimen Depositories: Sequencing Labs:
Sequencing Labs

Imagery

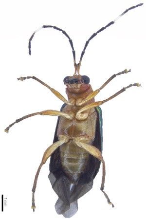
images representing specimens of Hoplosaenidea sp. 5
 ( - C9720)  @14 [ ] CreativeCommons – Attribution Non-Commercial Share-Alike (2017) Unspecified Institute for Tropical Biology and Conservation, Universiti Malaysia Sabah  ( - C9721)  @13 [ ] CreativeCommons – Attribution Non-Commercial Share-Alike (2017) Unspecified Institute for Tropical Biology and Conservation, Universiti Malaysia Sabah  ( - C9721)  @12 [ ] CreativeCommons – Attribution Non-Commercial Share-Alike (2017) Unspecified Institute for Tropical Biology and Conservation, Universiti Malaysia Sabah
 ( - C9720)  @12 [ ] CreativeCommons – Attribution Non-Commercial Share-Alike (2017) Unspecified Institute for Tropical Biology and Conservation, Universiti Malaysia Sabah
  Sample ID:
C9720
  License:
CreativeCommons – Attribution Non-Commercial Share-Alike (2017)
  License Holder:
Unspecified, Institute for Tropical Biology and Conservation, Universiti Malaysia Sabah

Collection Sites




Collected from 1 countries.
Top 20:
Show All Countries Expand List
Malaysia2