You've been logged out. Click
here
to log back in.
Log In
Log In
BOLD Systems
Databases
Taxonomy
Identification
Workbench
Resources
Sendaphne bennetti {species} -
Arthropoda
;
Insecta
;
Hymenoptera
;
Braconidae
;
Microgastrinae
;
Sendaphne
;
Print
Search Taxonomy
Sub-taxa
Taxon Description (Wikipedia)
full article at Wikipedia
BOLD Stats
Specimen Records:
1
Public Records:
1
Specimens with Sequences:
0
Public Species:
1
Specimens with Barcodes:
0
Public BINs:
0
Species:
1
Species With Barcodes:
0
Subspecies List - Progress
Access Published & Released Data
Contributors (Specimens & Sequencing)
Specimen Depositories:
Sequencing Labs:
Imagery
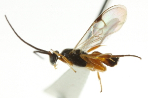
images representing specimens of Sendaphne bennetti
Sample ID:
CNCHYM 07032
License:
CreativeCommons - Attribution (2011)
License Holder:
CNC/CBG Photography Group, Centre for Biodiversity Genomics
Collection Sites
Collected from 1 countries.
Top 20:
Show All Countries
Mexico
1