You've been logged out. Click
here
to log back in.
Log In
Log In
BOLD Systems
Databases
Taxonomy
Identification
Workbench
Resources
Harasupia {genus} -
Arthropoda
;
Insecta
;
Hemiptera
;
Cicadellidae
;
Coelidiinae
;
Teruliini
;
Print
Search Taxonomy
Sub-taxa
Species (1)
Harasupia snowi [1]
Taxon Description (Wikipedia)
full article at Wikipedia
BOLD Stats
Specimen Records:
2
Public Records:
1
Specimens with Sequences:
1
Public Species:
0
Specimens with Barcodes:
1
Public BINs:
1
Species:
1
Species With Barcodes:
0
Species List - Progress
Access Published & Released Data
Contributors (Specimens & Sequencing)
Specimen Depositories:
Sequencing Labs:
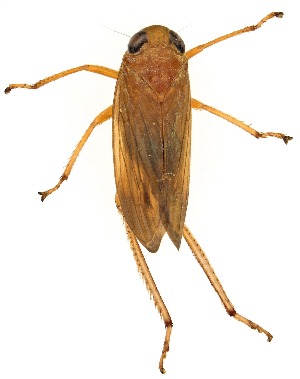
Imagery
images representing subtaxa of Harasupia
Sample ID:
CNC#HEM 406197
License:
CreativeCommons - Attribution (2014)
License Holder:
CBG Photography Group, Centre for Biodiversity Genomics
Collection Sites
Collected from 1 countries.
Top 20:
Show All Countries
United States
1