Gryllodes sigillatus {species} - Arthropoda; Insecta; Orthoptera; Gryllidae; Gryllinae; Gryllini; Gryllodes;

BOLD Stats

Specimen Records: 27 Public Records: 9
Specimens with Sequences: 23 Public Species: 1
Specimens with Barcodes: 21 Public BINs: 1
Species: 1          
Species With Barcodes: 1          
           

Contributors (Specimens & Sequencing)

Specimen Depositories: Sequencing Labs:
Sequencing Labs

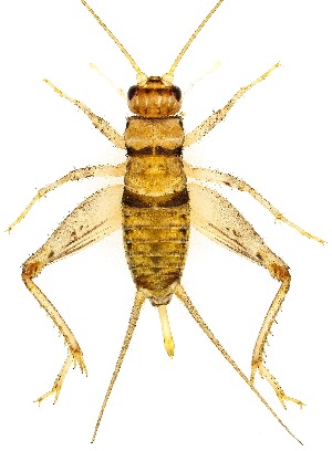
Imagery

images representing specimens of Gryllodes sigillatus
 ( - GBOL 03137)  @12 [ ] CreativeCommons - Attribution Non-Commercial Share-Alike (2015) Unspecified SNSB, Zoologische Staatssammlung Muenchen  ( - GBOL 03140)  @12 [ ] CreativeCommons - Attribution Non-Commercial Share-Alike (2015) Unspecified SNSB, Zoologische Staatssammlung Muenchen  ( - GBOL 03139)  @12 [ ] CreativeCommons - Attribution Non-Commercial Share-Alike (2015) Unspecified SNSB, Zoologische Staatssammlung Muenchen
 ( - GBOL 03138)  @11 [ ] CreativeCommons - Attribution Non-Commercial Share-Alike (2015) Unspecified SNSB, Zoologische Staatssammlung Muenchen  ( - RS-USJ-0013)  @11 [ ] CreativeCommons-Attribution Non-Commercial Share-Alike (2021) R. Sultana University of Sindha Jamshoro  ( - BC_JAS_028)  @11 [ ] cc-by (2023) Tony Robillard MNHN
 ( - BGE_00585_A01)  @11 [ ] Creative Commons Attribution NonCommercial ShareAlike (2025) (2025) Research Center in Biodiversity and Genetic Resources Research Center in Biodiversity and Genetic Resources  ( - BC-LPRIG-6538)  @11 [ ] CC-By (2025) Rodolphe Rougerie MNHN  ( - UAIC1139832)  @11 [ ] Copyright  Salvador Vitanza Unspecified
  Sample ID:
UAIC1139832
  License:
Copyright 
  License Holder:
Salvador Vitanza, Unspecified

Collection Sites




Collected from 5 countries.
Top 20:
Show All Countries Expand List
Germany4Portugal1Pakistan1
United States1Philippines1