You've been logged out. Click
here
to log back in.
Log In
Log In
BOLD Systems
Databases
Taxonomy
Identification
Workbench
Resources
Bostaera {genus} -
Arthropoda
;
Insecta
;
Hemiptera
;
Delphacidae
;
Delphacinae
;
Delphacini
;
Print
Search Taxonomy
Sub-taxa
Species (2)
Bostaera balli [1]
Bostaera nasuta [3]
Taxon Description (Wikipedia)
full article at Wikipedia
BOLD Stats
Specimen Records:
4
Public Records:
3
Specimens with Sequences:
3
Public Species:
2
Specimens with Barcodes:
1
Public BINs:
1
Species:
2
Species With Barcodes:
1
Species List - Progress
Access Published & Released Data
Contributors (Specimens & Sequencing)
Specimen Depositories:
Sequencing Labs:
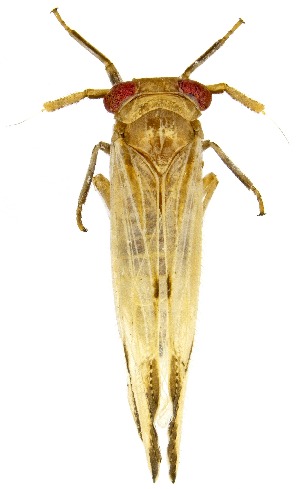
Imagery
images representing subtaxa of Bostaera
(
Bostaera nasuta
)
Sample ID:
UAIC1151390
License:
Copyright
License Holder:
Salvador Vitanza, Unspecified
Collection Sites
Collected from 1 countries.
Top 20:
Show All Countries
United States
2