Achryson surinamum {species} - Arthropoda; Insecta; Coleoptera; Cerambycidae; Cerambycinae; Achrysonini; Achryson;

BOLD Stats

Specimen Records: 14 Public Records: 9
Specimens with Sequences: 10 Public Species: 1
Specimens with Barcodes: 8 Public BINs: 2
Species: 1          
Species With Barcodes: 1          
           

Contributors (Specimens & Sequencing)

Specimen Depositories: Sequencing Labs:
Sequencing Labs

Imagery

images representing specimens of Achryson surinamum
 ( - BIOUG12544-A05)  @13 [ ] CreativeCommons - Attribution (2014) CBG Photography Group Centre for Biodiversity Genomics  ( - CIPLT-E-3536)  @11 [ ] Copyright (2015) Stefan Harrison Para la Tierra  ( - INB0003027254)  @11 [ ] Copyright (2012) A. Solis Instituto Nacional de Biodiversidad
 ( - CCDB-34772-B01)  @11 [ ] CreativeCommons - Attribution (2019) CBG Photography Group Smithsonian Institution  ( - UAIC1125717)  @11 [ ] by (2021) Wendy Moore University of Arizona Insect Collection  ( - BC-JT-ANT-108)  @11 [ ] Copyright (2020) Julien Touroult Museum national d'Histoire naturelle
 ( - JT-ANT-400)  @11 [ ] Copyright (2020) Julien Touroult Museum national d'Histoire naturelle  ( - BC-CER-ANT-030)  @11 [ ] By-SA Creative Common (2020) Julien Touroult Museum national d'Histoire naturelle, Paris  ( - BC-CER-ANT-045)  @11 [ ] By-SA Creative Common (2020) Julien Touroult Museum national d'Histoire naturelle, Paris
 ( - BC-CER-ANT-057)  @11 [ ] By-SA Creative Common (2020) Julien Touroult Museum national d'Histoire naturelle, Paris  ( - JT-ANT-2048)  @11 [ ] CC-by (2023) Julien Touroult Museum national d'Histoire naturelle, Paris  ( - BC-LPRIG-0016)  @11 [ ] CC-By (2025) Rodolphe Rougerie MNHN
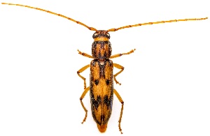
 ( - UAIC1151023)  @11 [ ] Copyright  Salvador Vitanza Unspecified
  Sample ID:
UAIC1151023
  License:
Copyright 
  License Holder:
Salvador Vitanza, Unspecified

Collection Sites




Collected from 5 countries.
Top 20:
Show All Countries Expand List
United States3Antigua and Barbuda1Bolivia1
Dominican Republic1Costa Rica1