Phyllopalpus pulchellus {species} - Arthropoda; Insecta; Orthoptera; Trigonidiidae; Trigonidiinae; Phylloscyrtini; Phyllopalpus;

BOLD Stats

Specimen Records: 4 Public Records: 3
Specimens with Sequences: 4 Public Species: 1
Specimens with Barcodes: 4 Public BINs: 1
Species: 1          
Species With Barcodes: 1          
           

Contributors (Specimens & Sequencing)

Specimen Depositories: Sequencing Labs:
Sequencing Labs

Imagery

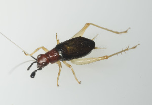
images representing specimens of Phyllopalpus pulchellus
 ( - SWRC-Ae_173)  @15 [ ] Copyright (2011) David H. Funk Stroud Water Research Center  ( - SWRC-Ae_237)  @14 [ ] Copyright (2011) David H. Funk Stroud Water Research Center  ( - SWRC-Ae_125)  @14 [ ] Copyright (2009) David H. Funk Unspecified
  Sample ID:
SWRC-Ae_125
  License:
Copyright (2009)
  License Holder:
David H. Funk, Unspecified

Collection Sites




Collected from 1 countries.
Top 20:
Show All Countries Expand List
United States3