You've been logged out. Click
here
to log back in.
Log In
Log In
BOLD Systems
Databases
Taxonomy
Identification
Workbench
Resources
Bryocoris {genus} -
Arthropoda
;
Insecta
;
Hemiptera
;
Miridae
;
Bryocorinae
;
Bryocorini
;
Print
Search Taxonomy
Sub-taxa
Species (3)
Bryocoris gracilis [3]
Bryocoris pteridis [65]
Bryocoris sp. 1 ML-2012 [2]
Taxon Description (Wikipedia)
full article at Wikipedia
BOLD Stats
Specimen Records:
71
Public Records:
37
Specimens with Sequences:
66
Public Species:
3
Specimens with Barcodes:
61
Public BINs:
2
Species:
3
Species With Barcodes:
3
Species List - Progress
Access Published & Released Data
Contributors (Specimens & Sequencing)
Specimen Depositories:
Sequencing Labs:
Imagery
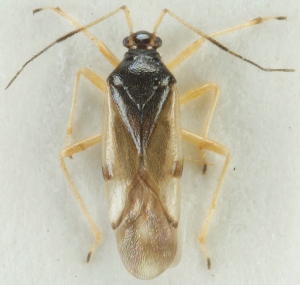
images representing subtaxa of Bryocoris
(
Bryocoris pteridis
)
Sample ID:
BFB_Heteroptera_Schmolke_088
License:
CreativeCommons - Attribution Non-Commercial Share-Alike (2012)
License Holder:
Zoologische Staatssammlung Muenchen, SNSB, Zoologische Staatssammlung Muenchen
Collection Sites
Collected from 7 countries.
Top 20:
Show All Countries
Canada
12
Netherlands
5
Finland
2
Germany
12
United Kingdom
4
Austria
5
Norway
3