Tipulamima grandidieri {species} - Arthropoda; Insecta; Lepidoptera; Sesiidae; Sesiinae; Synanthedonini; Tipulamima;

BOLD Stats

Specimen Records: 2 Public Records: 2
Specimens with Sequences: 2 Public Species: 1
Specimens with Barcodes: 2 Public BINs: 1
Species: 1          
Species With Barcodes: 1          
           

Contributors (Specimens & Sequencing)

Specimen Depositories: Sequencing Labs:
Sequencing Labs

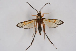
Imagery

images representing specimens of Tipulamima grandidieri
 ( - CCDB-04613 H08)  @14 [ ] CreativeCommons - Attribution Non-Commercial Share-Alike (2010) Sesiidae Research Group Sesiidae Research Group  ( - CCDB-04611 E08)  @14 [ ] CreativeCommons - Attribution Non-Commercial Share-Alike (2010) Sesiidae Research Group Sesiidae Research Group
  Sample ID:
CCDB-04611 E08
  License:
CreativeCommons - Attribution Non-Commercial Share-Alike (2010)
  License Holder:
Sesiidae Research Group

Collection Sites




Collected from 0 countries.
Top 20:
Show All Countries Expand List