Autumnimiris koebelei {species} - Arthropoda; Insecta; Hemiptera; Miridae; Mirinae; Stenodemini; Autumnimiris;

BOLD Stats

Specimen Records: 10 Public Records: 2
Specimens with Sequences: 6 Public Species: 1
Specimens with Barcodes: 4 Public BINs: 1
Species: 1          
Species With Barcodes: 1          
           

Contributors (Specimens & Sequencing)

Specimen Depositories: Sequencing Labs:
Sequencing Labs

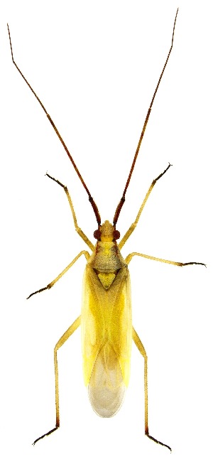
Imagery

images representing specimens of Autumnimiris koebelei
 ( - UAIC1135575)  @11 [ ] by (2021) Wendy Moore University of Arizona Insect Collection  ( - UAIC1139533)  @11 [ ] Copyright  Salvador Vitanza Unspecified  ( - UAIC1139582)  @11 [ ] Copyright  Salvador Vitanza Unspecified
 ( - CCDB-34777-E01)  @11 [ ] CreativeCommons - Attribution (2019) CBG Photography Group Smithsonian Institution  ( - CNC#PBI00394822)  @11 [ ] CreativeCommons - Attribution (2011) CNC/CBG Photography Group Centre for Biodiversity Genomics  ( - CNC#PBI00394823)  @11 [ ] CreativeCommons - Attribution (2011) CNC/CBG Photography Group Centre for Biodiversity Genomics
 ( - CNC#PBI00394820)  @11 [ ] CreativeCommons - Attribution (2011) CNC/CBG Photography Group Centre for Biodiversity Genomics  ( - CNC#PBI00394821)  @11 [ ] CreativeCommons - Attribution (2011) CNC/CBG Photography Group Centre for Biodiversity Genomics  ( - CNC#PBI00394824)  @11 [ ] CreativeCommons - Attribution (2011) CNC/CBG Photography Group Centre for Biodiversity Genomics
 ( - UAIC1151572)  @11 [ ] Copyright  Salvador Vitanza Unspecified
  Sample ID:
UAIC1151572
  License:
Copyright 
  License Holder:
Salvador Vitanza, Unspecified

Collection Sites




Collected from 2 countries.
Top 20:
Show All Countries Expand List
United States9Mexico1