Carinodes Malaise6790 {species} - Arthropoda; Insecta; Hymenoptera; Ichneumonidae; Ichneumoninae; Carinodes;

BOLD Stats

Specimen Records: 3 Public Records: 0
Specimens with Sequences: 3 Public Species: 0
Specimens with Barcodes: 3 Public BINs: 0
Species: 1          
Species With Barcodes: 1          
           

Contributors (Specimens & Sequencing)

Specimen Depositories: Sequencing Labs:
Sequencing Labs

Imagery

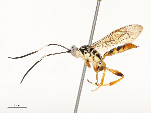
images representing specimens of Carinodes Malaise6790
 ( - CBG-A40190-C01)  @11 [ ] CreativeCommons - Attribution Share - Alike (2024) CBG Photography Group Centre for Biodiversity Genomics  ( - CBG-A72917-A03)  @11 [ ] CreativeCommons - Attribution Share - Alike (2025) CBG Photography Group Centre for Biodiversity Genomics  ( - CBG-B12660-C06)  @11 [ ] CreativeCommons - Attribution Share - Alike (2025) CBG Photography Group Centre for Biodiversity Genomics
  Sample ID:
CBG-B12660-C06
  License:
CreativeCommons - Attribution Share - Alike (2025)
  License Holder:
CBG Photography Group, Centre for Biodiversity Genomics

Collection Sites




Collected from 1 countries.
Top 20:
Show All Countries Expand List
Costa Rica3