Soyedina vallicularia {species} - Arthropoda; Insecta; Plecoptera; Nemouridae; Nemourinae; Soyedina;

BOLD Stats

Specimen Records: 29 Public Records: 29
Specimens with Sequences: 26 Public Species: 1
Specimens with Barcodes: 26 Public BINs: 2
Species: 1          
Species With Barcodes: 1          
           

Contributors (Specimens & Sequencing)

Specimen Depositories: Sequencing Labs:
Sequencing Labs

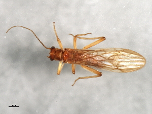
Imagery

images representing specimens of Soyedina vallicularia
 ( - BIOUG05523-G09)  @14 [ ] CreativeCommons - Attribution (2012) CBG Photography Group Centre for Biodiversity Genomics  ( - 08INHSP-031)  @13 [ ] CreativeCommons - Attribution (2009) Unspecified Centre for Biodiversity Genomics  ( - 08INHSP-042)  @13 [ ] CreativeCommons - Attribution (2009) Unspecified Centre for Biodiversity Genomics
 ( - 08INHSP-043)  @13 [ ] CreativeCommons - Attribution (2009) Unspecified Centre for Biodiversity Genomics  ( - 08BKEPT-249)  @13 [ ] CreativeCommons - Attribution (2008) Unspecified Centre for Biodiversity Genomics  ( - 08INHSP-430)  @11 [ ] CreativeCommons - Attribution (2009) Unspecified Centre for Biodiversity Genomics
 ( - 08INHSP-386)  @11 [ ] CreativeCommons - Attribution (2009) Unspecified Centre for Biodiversity Genomics
  Sample ID:
08INHSP-386
  License:
CreativeCommons - Attribution (2009)
  License Holder:
Unspecified, Centre for Biodiversity Genomics

Collection Sites




Collected from 2 countries.
Top 20:
Show All Countries Expand List
United States17Canada11