You've been logged out. Click
here
to log back in.
Log In
Log In
BOLD Systems
Databases
Taxonomy
Identification
Workbench
Resources
ichMalaise01 Malaise5893 {species} -
Arthropoda
;
Insecta
;
Hymenoptera
;
Ichneumonidae
;
unclassified Ichneumonidae
;
ichMalaise01
;
Print
Search Taxonomy
Sub-taxa
Taxon Description (Wikipedia)
full article at Wikipedia
BOLD Stats
Specimen Records:
1
Public Records:
1
Specimens with Sequences:
1
Public Species:
1
Specimens with Barcodes:
1
Public BINs:
1
Species:
1
Species With Barcodes:
1
Subspecies List - Progress
Access Published & Released Data
Contributors (Specimens & Sequencing)
Specimen Depositories:
Sequencing Labs:
Imagery
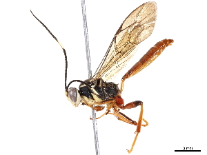
images representing specimens of ichMalaise01 Malaise5893
Sample ID:
BIOUG58193-F02
License:
CreativeCommons - Attribution (2021)
License Holder:
CBG Photography Group, Centre for Biodiversity Genomics
Collection Sites
Collected from 1 countries.
Top 20:
Show All Countries
Costa Rica
1