crypMalaise01 Malaise0768 {species} - Arthropoda; Insecta; Hymenoptera; Ichneumonidae; Cryptinae; crypMalaise01;

BOLD Stats

Specimen Records: 304 Public Records: 5
Specimens with Sequences: 304 Public Species: 1
Specimens with Barcodes: 304 Public BINs: 1
Species: 1          
Species With Barcodes: 1          
           

Contributors (Specimens & Sequencing)

Specimen Depositories: Sequencing Labs:
Sequencing Labs

Imagery

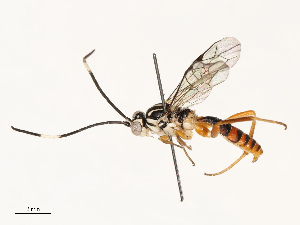
images representing specimens of crypMalaise01 Malaise0768
 ( - CBG-A02906-H02)  @11 [ ] CreativeCommons - Attribution (2023) CBG Photography Group Centre for Biodiversity Genomics  ( - CBG-A05570-A01)  @11 [ ] CreativeCommons - Attribution (2023) Centre for Biodiversity Genomics Centre for Biodiversity Genomics  ( - CBG-A68139-G04)  @11 [ ] CreativeCommons - Attribution Share - Alike (2025) Centre for Biodiversity Genomics Centre for Biodiversity Genomics
 ( - CBG-A54380-E01)  @11 [ ] CreativeCommons - Attribution Share - Alike (2024) CBG Photography Group Centre for Biodiversity Genomics  ( - CBG-A69848-B08)  @11 [ ] CreativeCommons - Attribution Share - Alike (2025) Centre for Biodiversity Genomics Centre for Biodiversity Genomics  ( - CBG-A69574-E08)  @11 [ ] CreativeCommons - Attribution Share - Alike (2025) CBG Photography Group Centre for Biodiversity Genomics
 ( - CBG-A32639-A06)  @11 [ ] CreativeCommons - Attribution Share - Alike (2024) Centre for Biodiversity Genomics Centre for Biodiversity Genomics  ( - CBG-A32649-A07)  @11 [ ] CreativeCommons - Attribution Share - Alike (2024) Centre for Biodiversity Genomics Centre for Biodiversity Genomics  ( - CBG-B14510-A01)  @11 [ ] CreativeCommons - Attribution Share - Alike (2025) Centre for Biodiversity Genomics Centre for Biodiversity Genomics
 ( - CBG-A68186-H08)  @11 [ ] CreativeCommons - Attribution Share - Alike (2025) Centre for Biodiversity Genomics Centre for Biodiversity Genomics  ( - CBG-B12449-G01)  @11 [ ] CreativeCommons - Attribution Share - Alike (2025) CBG Photography Group Centre for Biodiversity Genomics  ( - CBG-B12673-B06)  @11 [ ] CreativeCommons - Attribution Share - Alike (2025) CBG Photography Group Centre for Biodiversity Genomics
 ( - CBG-A67015-C12)  @11 [ ] CreativeCommons - Attribution Share - Alike (2025) CBG Photography Group Centre for Biodiversity Genomics  ( - CBG-A69821-F08)  @11 [ ] CreativeCommons - Attribution Share - Alike (2025) Centre for Biodiversity Genomics Centre for Biodiversity Genomics  ( - CBG-A67807-G10)  @11 [ ] CreativeCommons - Attribution Share - Alike (2025) CBG Photography Group Centre for Biodiversity Genomics
 ( - CBG-A69574-G09)  @11 [ ] CreativeCommons - Attribution Share - Alike (2025) CBG Photography Group Centre for Biodiversity Genomics  ( - CBG-A69844-C09)  @11 [ ] CreativeCommons - Attribution Share - Alike (2025) Centre for Biodiversity Genomics Centre for Biodiversity Genomics  ( - CBG-A69385-C07)  @11 [ ] CreativeCommons - Attribution Share - Alike (2025) Centre for Biodiversity Genomics Centre for Biodiversity Genomics
 ( - CBG-A13722-B07)  @11 [ ] CreativeCommons - Attribution Share - Alike (2023) Centre for Biodiversity Genomics Centre for Biodiversity Genomics  ( - CBG-A33492-C05)  @11 [ ] CreativeCommons - Attribution Share-Alike (2024) CBG Photography Group Centre for Biodiversity Genomics  ( - CBG-A67843-A09)  @11 [ ] CreativeCommons - Attribution Share - Alike (2025) CBG Photography Group Centre for Biodiversity Genomics
  Sample ID:
CBG-A67843-A09
  License:
CreativeCommons - Attribution Share - Alike (2025)
  License Holder:
CBG Photography Group, Centre for Biodiversity Genomics

Collection Sites




Collected from 1 countries.
Top 20:
Show All Countries Expand List
Costa Rica300