Caladonus coquilletti {species} - Arthropoda; Insecta; Hemiptera; Cicadellidae; Deltocephalinae; Athysanini; Caladonus;

BOLD Stats

Specimen Records: 5 Public Records: 3
Specimens with Sequences: 4 Public Species: 1
Specimens with Barcodes: 2 Public BINs: 1
Species: 1          
Species With Barcodes: 1          
           

Contributors (Specimens & Sequencing)

Specimen Depositories: Sequencing Labs:
Sequencing Labs

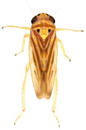
Imagery

images representing specimens of Caladonus coquilletti
 ( - CNC#HEM402136)  @14 [ ] CreativeCommons - Attribution (2012) CBG Photography Group Centre for Biodiversity Genomics  ( - CNC#HEM402138)  @13 [ ] CreativeCommons - Attribution (2012) CBG Photography Group Centre for Biodiversity Genomics  ( - CNC#HEM402137)  @13 [ ] CreativeCommons - Attribution (2012) CBG Photography Group Centre for Biodiversity Genomics
 ( - CBG-A13923-E08)  @11 [ ] CreativeCommons - Attribution Share - Alike (2023) Centre for Biodiversity Genomics Centre for Biodiversity Genomics  ( - UAIC1151818)  @11 [ ] Copyright  Salvador Vitanza Unspecified
  Sample ID:
UAIC1151818
  License:
Copyright 
  License Holder:
Salvador Vitanza, Unspecified

Collection Sites




Collected from 2 countries.
Top 20:
Show All Countries Expand List
United States4Canada1