Mydas xanthopterus {species} - Arthropoda; Insecta; Diptera; Mydidae; Mydinae; Mydini; Mydas;

BOLD Stats

Specimen Records: 2 Public Records: 0
Specimens with Sequences: 1 Public Species: 0
Specimens with Barcodes: 1 Public BINs: 0
Species: 1          
Species With Barcodes: 1          
           

Contributors (Specimens & Sequencing)

Specimen Depositories: Sequencing Labs:
Sequencing Labs

Imagery

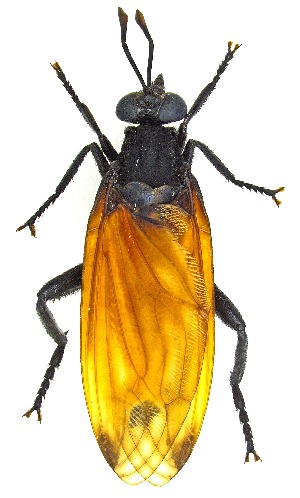
images representing specimens of Mydas xanthopterus
 ( - CCDB-45177-F02)  @11 [ ] CreativeCommons - Attribution Share - Alike (2023) CBG Photography Group Centre for Biodiversity Genomics  ( - CCDB-45177-F02)  @11 [ ] CreativeCommons - Attribution Share - Alike (2023) CBG Photography Group Centre for Biodiversity Genomics  ( - UAIC1151328)  @11 [ ] Copyright  Salvador Vitanza Unspecified
  Sample ID:
UAIC1151328
  License:
Copyright 
  License Holder:
Salvador Vitanza, Unspecified

Collection Sites




Collected from 1 countries.
Top 20:
Show All Countries Expand List
United States2