You've been logged out. Click
here
to log back in.
Log In
Log In
BOLD Systems
Databases
Taxonomy
Identification
Workbench
Resources
Chelonodontops bengalensis {species} -
Chordata
;
Actinopterygii
;
Tetraodontiformes
;
Tetraodontidae
;
Chelonodontops
;
Print
Search Taxonomy
Sub-taxa
Taxon Description (Wikipedia)
full article at Wikipedia
BOLD Stats
Specimen Records:
5
Public Records:
4
Specimens with Sequences:
5
Public Species:
1
Specimens with Barcodes:
2
Public BINs:
1
Species:
1
Species With Barcodes:
1
Subspecies List - Progress
Access Published & Released Data
Contributors (Specimens & Sequencing)
Specimen Depositories:
Sequencing Labs:
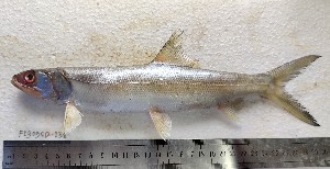
Imagery
images representing specimens of Chelonodontops bengalensis
Sample ID:
F2309SD-137
License:
Unspecified (default): All Rights Reserved
License Holder:
Md jayedul Islam and Md Asaduzzaman, Jagannath University, Department of Zoology
Collection Sites
Collected from 0 countries.
Top 20:
Show All Countries