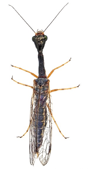
Alena minuta {species} - Arthropoda; Insecta; Raphidioptera; Raphidiidae; Raphidiinae; Alenini; Alena;

BOLD Stats

Specimen Records: 3 Public Records: 1
Specimens with Sequences: 1 Public Species: 1
Specimens with Barcodes: 0 Public BINs: 0
Species: 1          
Species With Barcodes: 0          
           

Contributors (Specimens & Sequencing)

Specimen Depositories: Sequencing Labs:
Sequencing Labs

Imagery

images representing specimens of Alena minuta
 ( - CCDB-32127-C09)  @11 [ ] CreativeCommons - Attribution (2018) CBG Photography Group Smithsonian Institution  ( - BIOUG10949-C09)  @11 [ ] CreativeCommons - Attribution (2014) CBG Photography Group Centre for Biodiversity Genomics
  Sample ID:
BIOUG10949-C09
  License:
CreativeCommons - Attribution (2014)
  License Holder:
CBG Photography Group, Centre for Biodiversity Genomics

Collection Sites




Collected from 2 countries.
Top 20:
Show All Countries Expand List
United States2Mexico1