Euryproctus plantator {species} - Arthropoda; Insecta; Hymenoptera; Ichneumonidae; Ctenopelmatinae; Euryproctus;

BOLD Stats

Specimen Records: 5 Public Records: 3
Specimens with Sequences: 3 Public Species: 1
Specimens with Barcodes: 3 Public BINs: 0
Species: 1          
Species With Barcodes: 1          
           

Contributors (Specimens & Sequencing)

Specimen Depositories: Sequencing Labs:
Sequencing Labs

Imagery

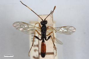
images representing specimens of Euryproctus plantator
 ( - BC-ZSM-HYM-27442-H02)  @11 [ ] CreativeCommons - Attribution Non-Commercial Share-Alike (2016) SNSB, Staatliche Naturwissenschaftliche Sammlungen Bayerns ZSM (SNSB, Zoologische Staatssammlung Muenchen)  ( - CollHH4063)  @11 [ ] Creative Commons – Attribution Non-Commercial Share-Alike (2025) Hakon Haraldseide Unspecified  ( - BGE_00405_B05)  @11 [ ] CreativeCommons - Attribution Non-Commercial Share-Alike (2023) Unspecified Zoologisches Forschungsmuseum Alexander Koenig
 ( - BGE_00405_B04)  @11 [ ] CreativeCommons - Attribution Non-Commercial Share-Alike (2023) Unspecified Zoologisches Forschungsmuseum Alexander Koenig
  Sample ID:
BGE_00405_B04
  License:
CreativeCommons - Attribution Non-Commercial Share-Alike (2023)
  License Holder:
Unspecified, Zoologisches Forschungsmuseum Alexander Koenig

Collection Sites




Collected from 2 countries.
Top 20:
Show All Countries Expand List
Germany3Austria1