You've been logged out. Click
here
to log back in.
Log In
Log In
BOLD Systems
Databases
Taxonomy
Identification
Workbench
Resources
Melanophila consputa {species} -
Arthropoda
;
Insecta
;
Coleoptera
;
Buprestidae
;
Buprestinae
;
Melanophilini
;
Melanophila
;
Print
Search Taxonomy
Sub-taxa
Taxon Description (Wikipedia)
full article at Wikipedia
BOLD Stats
Specimen Records:
4
Public Records:
2
Specimens with Sequences:
3
Public Species:
1
Specimens with Barcodes:
2
Public BINs:
1
Species:
1
Species With Barcodes:
1
Subspecies List - Progress
Access Published & Released Data
Contributors (Specimens & Sequencing)
Specimen Depositories:
Sequencing Labs:
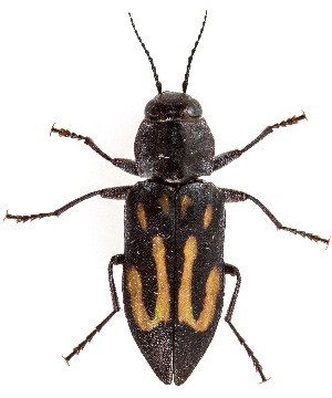
Imagery
images representing specimens of Melanophila consputa
Sample ID:
UAIC1159703
License:
Copyright
License Holder:
Salvador Vitanza, Unspecified
Collection Sites
Collected from 1 countries.
Top 20:
Show All Countries
United States
1