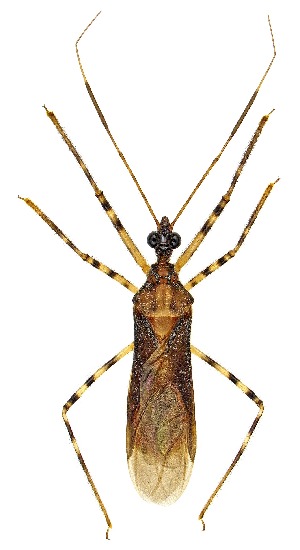
Castolus ferox {species} - Arthropoda; Insecta; Hemiptera; Reduviidae; Harpactorinae; Harpactorini; Castolus;

BOLD Stats

Specimen Records: 9 Public Records: 7
Specimens with Sequences: 6 Public Species: 1
Specimens with Barcodes: 5 Public BINs: 3
Species: 1          
Species With Barcodes: 1          
           

Contributors (Specimens & Sequencing)

Specimen Depositories: Sequencing Labs:
Sequencing Labs

Imagery

images representing specimens of Castolus ferox
 ( - 09BBHEM-0633)  @11 [ ] CreativeCommons - Attribution (2010) CBG Photography Group Centre for Biodiversity Genomics  ( - YB-BCI167391)  @11 [ ] No Rights Reserved  Unspecified Unspecified  ( - YB-BCI167390)  @11 [ ] No Rights Reserved  Unspecified Unspecified
 ( - CCDB-34773-B03)  @11 [ ] CreativeCommons - Attribution (2019) CBG Photography Group Smithsonian Institution  ( - CCDB-34773-B02)  @11 [ ] CreativeCommons - Attribution (2019) CBG Photography Group Smithsonian Institution  ( - YB-BCI167513)  @11 [ ] No Rights Reserved  Unspecified Unspecified
 ( - YB-BCI167513)  @11 [ ] No Rights Reserved  Unspecified Unspecified  ( - UAIC1151134)  @11 [ ] Copyright  Salvador Vitanza Unspecified  ( - UAIC1139872)  @11 [ ] Copyright  Salvador Vitanza Unspecified
  Sample ID:
UAIC1139872
  License:
Copyright 
  License Holder:
Salvador Vitanza, Unspecified

Collection Sites




Collected from 2 countries.
Top 20:
Show All Countries Expand List
United States5Panama3