Ululodes bicolor {species} - Arthropoda; Insecta; Neuroptera; Myrmeleontidae; Ascalaphinae; Ululodini; Ululodes;

BOLD Stats

Specimen Records: 5 Public Records: 1
Specimens with Sequences: 5 Public Species: 1
Specimens with Barcodes: 3 Public BINs: 1
Species: 1          
Species With Barcodes: 1          
           

Contributors (Specimens & Sequencing)

Specimen Depositories: Sequencing Labs:
Sequencing Labs

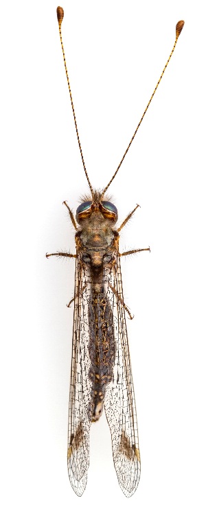
Imagery

images representing specimens of Ululodes bicolor
 ( - AWC-00536)  @13 [ ] CreativeCommons - Attribution Non-Commercial Share-Alike (2010) Tim Whittier Arizona Western College  ( - BIOUG10951-A11)  @11 [ ] CreativeCommons - Attribution (2014) CBG Photography Group Centre for Biodiversity Genomics  ( - BIOUG10951-A12)  @11 [ ] CreativeCommons - Attribution (2014) CBG Photography Group Centre for Biodiversity Genomics
 ( - UAIC1139179)  @11 [ ] Copyright  Salvador Vitanza Unspecified  ( - UAIC1151363)  @11 [ ] Copyright  Salvador Vitanza Unspecified
  Sample ID:
UAIC1151363
  License:
Copyright 
  License Holder:
Salvador Vitanza, Unspecified

Collection Sites




Collected from 1 countries.
Top 20:
Show All Countries Expand List
United States5