Opomyza punctella {species} - Arthropoda; Insecta; Diptera; Opomyzidae; Opomyza;

BOLD Stats

Specimen Records: 5 Public Records: 2
Specimens with Sequences: 4 Public Species: 1
Specimens with Barcodes: 4 Public BINs: 1
Species: 1          
Species With Barcodes: 1          
           

Contributors (Specimens & Sequencing)

Specimen Depositories: Sequencing Labs:
Sequencing Labs

Imagery

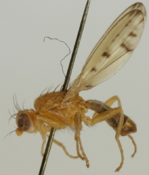
images representing specimens of Opomyza punctella
 ( - CBG-A00403-G02)  @11 [ ] CreativeCommons - Attribution Share - Alike (2023) Centre for Biodiversity Genomics Centre for Biodiversity Genomics  ( - jka09-06079)  @11 [ ] CreativeCommons - Attribution Non-Commercial (2012) Marko Mutanen University of Oulu  ( - jka09-04738)  @11 [ ] CreativeCommons - Attribution Non-Commercial (2012) Marko Mutanen University of Oulu
  Sample ID:
jka09-04738
  License:
CreativeCommons - Attribution Non-Commercial (2012)
  License Holder:
Marko Mutanen, University of Oulu

Collection Sites




Collected from 1 countries.
Top 20:
Show All Countries Expand List
Norway1