You've been logged out. Click
here
to log back in.
Log In
Log In
BOLD Systems
Databases
Taxonomy
Identification
Workbench
Resources
Isyndus reticulatus {species} -
Arthropoda
;
Insecta
;
Hemiptera
;
Reduviidae
;
Harpactorinae
;
Harpactorini
;
Isyndus
;
Print
Search Taxonomy
Sub-taxa
Taxon Description (Wikipedia)
full article at Wikipedia
BOLD Stats
Specimen Records:
18
Public Records:
15
Specimens with Sequences:
16
Public Species:
1
Specimens with Barcodes:
16
Public BINs:
3
Species:
1
Species With Barcodes:
1
Subspecies List - Progress
Access Published & Released Data
Contributors (Specimens & Sequencing)
Specimen Depositories:
Sequencing Labs:
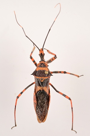
Imagery
images representing specimens of Isyndus reticulatus
Sample ID:
IEBR-Redu-01
License:
Copyright (2024)
License Holder:
Unspecified, University of Science, Vietnam National University, Hanoi
Collection Sites
Collected from 1 countries.
Top 20:
Show All Countries
China
4