Devario sp. purple cypris {species} - Chordata; Actinopterygii; Cypriniformes; Cyprinidae; Danioninae; Devario;

BOLD Stats

Specimen Records: 4 Public Records: 4
Specimens with Sequences: 4 Public Species: 1
Specimens with Barcodes: 4 Public BINs: 1
Species: 1          
Species With Barcodes: 1          
           

Contributors (Specimens & Sequencing)

Specimen Depositories: Sequencing Labs:
Sequencing Labs

Imagery

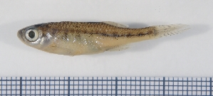
images representing specimens of Devario sp. purple cypris
 ( - RC0250)  @14 [ ] CreativeCommons - Attribution No Derivatives (2011) Rupert A. Collins Bio-Protection Research Centre, PO Box 84, Lincoln University 7647, Canterbury, New Zealand.  ( - RC0251)  @14 [ ] CreativeCommons - Attribution No Derivatives (2011) Rupert A. Collins Bio-Protection Research Centre, PO Box 84, Lincoln University 7647, Canterbury, New Zealand.
  Sample ID:
RC0251
  License:
CreativeCommons - Attribution No Derivatives (2011)
  License Holder:
Rupert A. Collins, Bio-Protection Research Centre, PO Box 84, Lincoln University 7647, Canterbury, New Zealand.

Collection Sites



Collected from 0 countries.
Top 20:
Show All Countries Expand List