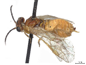
Periclista sulfurana {species} - Arthropoda; Insecta; Hymenoptera; Tenthredinidae; Blennocampinae; Periclista;

BOLD Stats

Specimen Records: 2 Public Records: 0
Specimens with Sequences: 2 Public Species: 0
Specimens with Barcodes: 2 Public BINs: 0
Species: 1          
Species With Barcodes: 1          
           

Contributors (Specimens & Sequencing)

Specimen Depositories: Sequencing Labs:
Sequencing Labs

Imagery

images representing specimens of Periclista sulfurana
 ( - CCDB-37891-E04)  @11 [ ] CreativeCommons - Attribution Share - Alike (2023) CBG Photography Group Centre for Biodiversity Genomics  ( - CCDB-37884-F03)  @11 [ ] CreativeCommons - Attribution Share - Alike (2023) CBG Photography Group Centre for Biodiversity Genomics
  Sample ID:
CCDB-37884-F03
  License:
CreativeCommons - Attribution Share - Alike (2023)
  License Holder:
CBG Photography Group, Centre for Biodiversity Genomics

Collection Sites




Collected from 1 countries.
Top 20:
Show All Countries Expand List
United States2