You've been logged out. Click
here
to log back in.
Log In
Log In
BOLD Systems
Databases
Taxonomy
Identification
Workbench
Resources
Jenkinsia {genus} -
Chordata
;
Actinopterygii
;
Clupeiformes
;
Clupeidae
;
Dussumieriinae
;
Print
Search Taxonomy
Sub-taxa
Species (2)
Jenkinsia lamprotaenia [62]
Jenkinsia sp. CL54 [2]
Taxon Description (Wikipedia)
full article at Wikipedia
BOLD Stats
Specimen Records:
113
Public Records:
104
Specimens with Sequences:
109
Public Species:
2
Specimens with Barcodes:
109
Public BINs:
6
Species:
2
Species With Barcodes:
2
Species List - Progress
Access Published & Released Data
Contributors (Specimens & Sequencing)
Specimen Depositories:
Sequencing Labs:
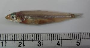
Imagery
images representing subtaxa of Jenkinsia
(
Jenkinsia lamprotaenia
)
Sample ID:
ECO-CH-P5490C
License:
Unspecified (default): All Rights Reserved
License Holder:
Unspecified
Collection Sites
Collected from 5 countries.
Top 20:
Show All Countries
Mexico
47
United States
2
United States Virgin Islands
1
Belize
4
Panama
1