You've been logged out. Click
here
to log back in.
Log In
Log In
BOLD Systems
Databases
Taxonomy
Identification
Workbench
Resources
Tropidosteptes {genus} -
Arthropoda
;
Insecta
;
Hemiptera
;
Miridae
;
Mirinae
;
Mirini
;
Print
Search Taxonomy
Sub-taxa
Species (15)
Tropidosteptes adustus [3]
Tropidosteptes amoenus [17]
Tropidosteptes canadensis [3]
Tropidosteptes cardinalis [1]
Tropidosteptes commissuralis [3]
Tropidosteptes geminus [1]
Tropidosteptes glaber [1]
Tropidosteptes neglectus [1]
Tropidosteptes pacificus [9]
Tropidosteptes palmeri [2]
Tropidosteptes pettiti [2]
Tropidosteptes plagifer [1]
Tropidosteptes pubescens [1]
Tropidosteptes rufusculus [12]
Tropidosteptes vittifrons [3]
Taxon Description (Wikipedia)
full article at Wikipedia
BOLD Stats
Specimen Records:
76
Public Records:
64
Specimens with Sequences:
62
Public Species:
15
Specimens with Barcodes:
59
Public BINs:
9
Species:
15
Species With Barcodes:
7
Species List - Progress
Access Published & Released Data
Contributors (Specimens & Sequencing)
Specimen Depositories:
Sequencing Labs:
Imagery
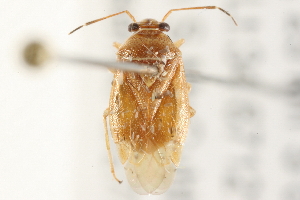
images representing subtaxa of Tropidosteptes
(
Tropidosteptes vittifrons
)
Sample ID:
09BBHEM-0730
License:
CreativeCommons - Attribution (2010)
License Holder:
CBG Photography Group, Centre for Biodiversity Genomics
Collection Sites
Collected from 3 countries.
Top 20:
Show All Countries
Canada
45
United States
25
Netherlands
5