You've been logged out. Click
here
to log back in.
Log In
Log In
BOLD Systems
Databases
Taxonomy
Identification
Workbench
Resources
Geocoris black-calli-az {species} -
Arthropoda
;
Insecta
;
Hemiptera
;
Geocoridae
;
Geocorinae
;
Geocoris
;
Print
Search Taxonomy
Sub-taxa
Taxon Description (Wikipedia)
full article at Wikipedia
BOLD Stats
Specimen Records:
1
Public Records:
0
Specimens with Sequences:
1
Public Species:
0
Specimens with Barcodes:
1
Public BINs:
0
Species:
1
Species With Barcodes:
1
Subspecies List - Progress
Access Published & Released Data
Contributors (Specimens & Sequencing)
Specimen Depositories:
Sequencing Labs:
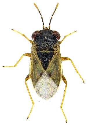
Imagery
images representing specimens of Geocoris black-calli-az
Sample ID:
UAIC1139358
License:
Copyright
License Holder:
Salvador Vitanza, Unspecified
Collection Sites
Collected from 1 countries.
Top 20:
Show All Countries
United States
1