cryptJanzen01 Malaise4534 {species} - Arthropoda; Insecta; Hymenoptera; Ichneumonidae; Cryptinae; cryptJanzen01;

BOLD Stats

Specimen Records: 6 Public Records: 3
Specimens with Sequences: 6 Public Species: 1
Specimens with Barcodes: 6 Public BINs: 1
Species: 1          
Species With Barcodes: 1          
           

Contributors (Specimens & Sequencing)

Specimen Depositories: Sequencing Labs:
Sequencing Labs

Imagery

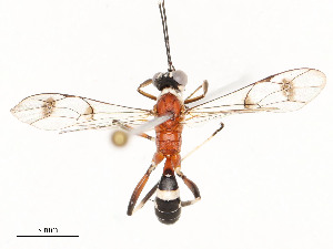
images representing specimens of cryptJanzen01 Malaise4534
 ( - BIOUG76518-F12)  @11 [ ] CreativeCommons - Attribution (2022) CBG Photography Group Centre for Biodiversity Genomics  ( - BIOUG80752-E09)  @11 [ ] CreativeCommons - Attribution (2022) CBG Photography Group Centre for Biodiversity Genomics  ( - BIOUG80755-F09)  @11 [ ] CreativeCommons - Attribution (2022) CBG Photography Group Centre for Biodiversity Genomics
 ( - CBG-A04598-A08)  @11 [ ] CreativeCommons - Attribution (2023) CBG Photography Group Centre for Biodiversity Genomics  ( - CBG-A51872-D04)  @11 [ ] CreativeCommons - Attribution Share - Alike (2024) CBG Photography Group Centre for Biodiversity Genomics  ( - CBG-A58656-G01)  @11 [ ] CreativeCommons - Attribution Share - Alike (2025) CBG Photography Group Centre for Biodiversity Genomics
  Sample ID:
CBG-A58656-G01
  License:
CreativeCommons - Attribution Share - Alike (2025)
  License Holder:
CBG Photography Group, Centre for Biodiversity Genomics

Collection Sites




Collected from 1 countries.
Top 20:
Show All Countries Expand List
Costa Rica6