BOLD Stats

Specimen Records: 1 Public Records: 0
Specimens with Sequences: 0 Public Species: 0
Specimens with Barcodes: 0 Public BINs: 0
Species: 1          
Species With Barcodes: 0          
           

Contributors (Specimens & Sequencing)

Specimen Depositories: Sequencing Labs:

Imagery

images representing subtaxa of Paraheraeus
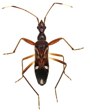
 (Paraheraeus eximius - UAIC1151508)  @11 [ ] Copyright  Salvador Vitanza Unspecified
  Sample ID:
UAIC1151508
  License:
Copyright 
  License Holder:
Salvador Vitanza, Unspecified

Collection Sites




Collected from 1 countries.
Top 20:
Show All Countries Expand List
United States1