You've been logged out. Click
here
to log back in.
Log In
Log In
BOLD Systems
Databases
Taxonomy
Identification
Workbench
Resources
Udeocorini {tribe} -
Arthropoda
;
Insecta
;
Hemiptera
;
Rhyparochromidae
;
Rhyparochrominae
;
Print
Search Taxonomy
Sub-taxa
Genera (5)
Daerlac [3]
Laryngodus [2]
Neosuris [13]
Tempyra [4]
Udeocoris [2]
Taxon Description (Wikipedia)
full article at Wikipedia
BOLD Stats
Specimen Records:
24
Public Records:
19
Specimens with Sequences:
18
Public Species:
5
Specimens with Barcodes:
9
Public BINs:
0
Species:
7
Species With Barcodes:
5
Species List - Progress
Access Published & Released Data
Contributors (Specimens & Sequencing)
Specimen Depositories:
Sequencing Labs:
Imagery
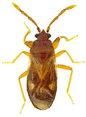
images representing subtaxa of Udeocorini
(
Tempyra
)
Sample ID:
UAIC1139336
License:
Copyright
License Holder:
Salvador Vitanza, Unspecified
Collection Sites
Collected from 3 countries.
Top 20:
Show All Countries
Canada
7
United States
6
Australia
2