Champsodon capensis {species} - Chordata; Actinopterygii; Trachiniformes; Champsodontidae; Champsodon;

BOLD Stats

Specimen Records: 14 Public Records: 8
Specimens with Sequences: 8 Public Species: 1
Specimens with Barcodes: 7 Public BINs: 2
Species: 1          
Species With Barcodes: 1          
           

Contributors (Specimens & Sequencing)

Specimen Depositories: Sequencing Labs:
Sequencing Labs

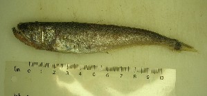
Imagery

images representing specimens of Champsodon capensis
 ( - ACD07_229.1 #7)  @13 [ ] CreativeCommons - Attribution Non-Commercial Share-Alike (2011) Allan D. Connell Research Collection of Allan Connell  ( - ADC08-L II B1 #1.2)  @12 [ ] CreativeCommons - Attribution Non-Commercial (2013) Allan Connell South African Institute for Aquatic Biodiversity  ( - ACD07_229.1 #8)  @12 [ ] CreativeCommons - Attribution Non-Commercial Share-Alike (2011) Allan D. Connell Research Collection of Allan Connell
 ( - ADC08-L II B1 #1.2)  @12 [ ] CreativeCommons - Attribution Non-Commercial (2013) Allan Connell South African Institute for Aquatic Biodiversity  ( - ADC 229.1-2)  @11 [ ] CreativeCommons - Attribution Non-Commercial Share-Alike (2011) Allan D. Connell Research Collection of Allan Connell  ( - ACD07_229.1 #6)  @11 [ ] CreativeCommons - Attribution Non-Commercial Share-Alike (2011) Allan D. Connell Research Collection of Allan Connell
  Sample ID:
ACD07_229.1 #6
  License:
CreativeCommons - Attribution Non-Commercial Share-Alike (2011)
  License Holder:
Allan D. Connell, Research Collection of Allan Connell

Collection Sites




Collected from 1 countries.
Top 20:
Show All Countries Expand List
South Africa4