Lytopylus davidstopaki {species} - Arthropoda; Insecta; Hymenoptera; Braconidae; Agathidinae; Lytopylus;

BOLD Stats

Specimen Records: 7 Public Records: 5
Specimens with Sequences: 7 Public Species: 1
Specimens with Barcodes: 7 Public BINs: 1
Species: 1          
Species With Barcodes: 1          
           

Contributors (Specimens & Sequencing)

Specimen Depositories: Sequencing Labs:
Sequencing Labs

Imagery

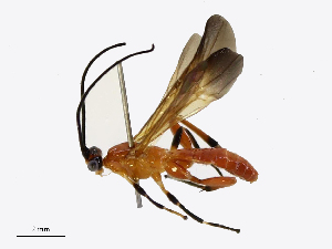
images representing specimens of Lytopylus davidstopaki
 ( - DHJPAR0050948)  @11 [ ] CreativeCommons - Attribution Share-Alike (2021) Unspecified University of Kentucky  ( - CBG-B17302-F11)  @11 [ ] CreativeCommons - Attribution Share - Alike (2025) CBG Photography Group Centre for Biodiversity Genomics  ( - CBG-B12675-C11)  @11 [ ] CreativeCommons - Attribution Share - Alike (2025) CBG Photography Group Centre for Biodiversity Genomics
  Sample ID:
CBG-B12675-C11
  License:
CreativeCommons - Attribution Share - Alike (2025)
  License Holder:
CBG Photography Group, Centre for Biodiversity Genomics

Collection Sites




Collected from 1 countries.
Top 20:
Show All Countries Expand List
Costa Rica6