Plataplochilus chalcopyrus {species} - Chordata; Actinopterygii; Cyprinodontiformes; Procatopodidae; Procatopodinae; Plataplochilus;

BOLD Stats

Specimen Records: 5 Public Records: 5
Specimens with Sequences: 5 Public Species: 1
Specimens with Barcodes: 5 Public BINs: 3
Species: 1          
Species With Barcodes: 1          
           

Contributors (Specimens & Sequencing)

Specimen Depositories: Sequencing Labs:
Sequencing Labs

Imagery

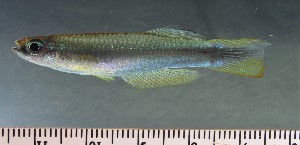
images representing specimens of Plataplochilus chalcopyrus
 ( - OS22351 GAB17-0135)  @11 [ ] CreativeCommons – Attribution Non-Commercial Share-Alike (2017) Brian Sidlauskas Oregon State University  ( - OS21969 GAB17-1993)  @11 [ ] CreativeCommons – Attribution Non-Commercial Share-Alike (2017) Joe Cutler Oregon State University  ( - OS20262 GAB17-0604)  @11 [ ] CreativeCommons – Attribution Non-Commercial Share-Alike (2019) Oregon State University Oregon State University
 ( - OS20237 GAB17-0640)  @11 [ ] CreativeCommons – Attribution Non-Commercial Share-Alike (2017) Brian Sidlauskas Oregon State University
  Sample ID:
OS20237 GAB17-0640
  License:
CreativeCommons – Attribution Non-Commercial Share-Alike (2017)
  License Holder:
Brian Sidlauskas, Oregon State University

Collection Sites




Collected from 1 countries.
Top 20:
Show All Countries Expand List
Gabon4