Homolobus truncator {species} - Arthropoda; Insecta; Hymenoptera; Braconidae; Homolobinae; Homolobus;

BOLD Stats

Specimen Records: 10 Public Records: 8
Specimens with Sequences: 8 Public Species: 1
Specimens with Barcodes: 8 Public BINs: 1
Species: 1          
Species With Barcodes: 1          
           

Contributors (Specimens & Sequencing)

Specimen Depositories: Sequencing Labs:
Sequencing Labs

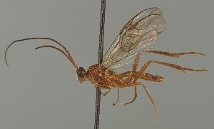
Imagery

images representing specimens of Homolobus truncator
 ( - 09BBHYM-271)  @13 [ ] CreativeCommons - Attribution (2009) Unspecified Centre for Biodiversity Genomics  ( - CCDB-28540-D07)  @13 [ ] CreativeCommons - Attribution (2015) CBG Photography Group Centre for Biodiversity Genomics  ( - BIOUG06264-G02)  @12 [ ] CreativeCommons - Attribution (2014) CBG Photography Group Centre for Biodiversity Genomics
 ( - CCDB-28540-D06)  @11 [ ] CreativeCommons - Attribution (2015) CBG Photography Group Centre for Biodiversity Genomics  ( - MZH_GQ.499)  @11 [ ] by-nc (2021) Simo Väänänen Luomus  ( - MZH_GQ.500)  @11 [ ] by-nc (2021) Simo Väänänen Luomus
  Sample ID:
MZH_GQ.500
  License:
by-nc (2021)
  License Holder:
Simo Väänänen, Luomus

Collection Sites




Collected from 2 countries.
Top 20:
Show All Countries Expand List
Canada7United States1