Stenomacra marginella {species} - Arthropoda; Insecta; Hemiptera; Largidae; Larginae; Largini; Stenomacra;

BOLD Stats

Specimen Records: 4 Public Records: 1
Specimens with Sequences: 3 Public Species: 1
Specimens with Barcodes: 1 Public BINs: 0
Species: 1          
Species With Barcodes: 1          
           

Contributors (Specimens & Sequencing)

Specimen Depositories: Sequencing Labs:
Sequencing Labs

Imagery

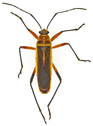
images representing specimens of Stenomacra marginella
 ( - CNC#HEM301883)  @11 [ ] CreativeCommons - Attribution (2011) CNC/CBG Photography Group Centre for Biodiversity Genomics  ( - CNC#HEM301884)  @11 [ ] CreativeCommons - Attribution (2011) CNC/CBG Photography Group Centre for Biodiversity Genomics  ( - UAIC1151583)  @11 [ ] Copyright  Salvador Vitanza Unspecified
  Sample ID:
UAIC1151583
  License:
Copyright 
  License Holder:
Salvador Vitanza, Unspecified

Collection Sites




Collected from 3 countries.
Top 20:
Show All Countries Expand List
United States1El Salvador1Mexico1