You've been logged out. Click
here
to log back in.
Log In
Log In
BOLD Systems
Databases
Taxonomy
Identification
Workbench
Resources
Gobionellus oceanicus {species} -
Chordata
;
Actinopterygii
;
Gobiiformes
;
Oxudercidae
;
Gobionellinae
;
Gobionellus
;
Print
Search Taxonomy
Sub-taxa
Taxon Description (Wikipedia)
full article at Wikipedia
BOLD Stats
Specimen Records:
35
Public Records:
25
Specimens with Sequences:
34
Public Species:
1
Specimens with Barcodes:
34
Public BINs:
3
Species:
1
Species With Barcodes:
1
Subspecies List - Progress
Access Published & Released Data
Contributors (Specimens & Sequencing)
Specimen Depositories:
Sequencing Labs:
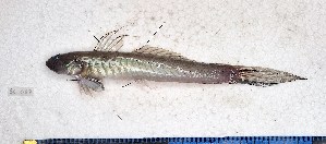
Imagery
images representing specimens of Gobionellus oceanicus
Sample ID:
SC-087
License:
copyright © (2024)
License Holder:
Thierry Fredou, UFRPE-DEPAq
Collection Sites
Collected from 4 countries.
Top 20:
Show All Countries
United States
9
Mexico
2
Colombia
2
Brazil
1